RESULT釣果情報

2025年 11月20日 佐渡ジギング

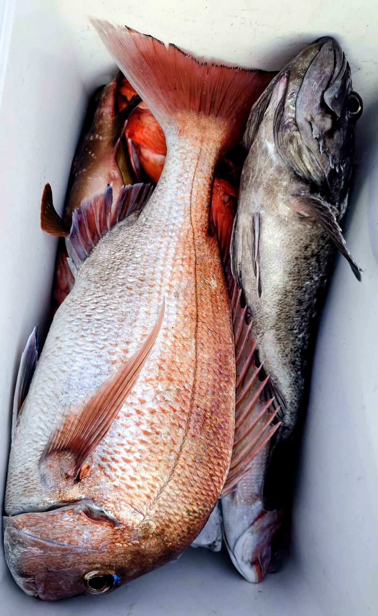
11月20日 遠征便

佐渡ジギング

ワラサ・イナワラ・イナダ・マダイ・ハナダイ(チダイ)・キダイ・ウッカリカサゴ・クロソイ・キジハタ・エソなど

コメント:佐渡ジギングに出船です。

場所に着くと、上潮だけ流れて下潮がまったく動きません(>︿<。)

良い反応に入れてもジグに無反応……

移動・移動の繰り返しです。

ようやくヒットも逃げられてしまいました……(>︿<。)

前回に引き続き喰いが悪いです……

その後、長い沈黙の後大きいヒラマサがヒット!

やりとりしましたが根ズレでラインブレイクてしまいました……

チ───(´-ω-`)───ン

沖上がり30分前に、ようやくイナダやワラサがヒット!

なんとか顔見れましたが残念ながら時間切れとなってしまいました……

アタリ少なく胃が痛い1日でした(T_T)(T_T)(T_T)

今日は、アタリ少なくごめんなさい(>︿<。)

次回リベンジお待ちしていますm(_ _)m

最低70lb(70ポンド)以上もしくは80lb(80ポンド)のリーダーをつけてきてください。

それとPEラインは、3号・4号どちらでも大丈夫ですが新しいのを巻いてきてチャレンジしてください。

オススメジグの種類は、船長に聞いてください。

せっかくヒットしてもラインブレイクして逃げられてばかりじゃ上がりません。

よろしくお願いしますm(_ _)m

今年は反応多く佐渡ジギング楽しめそうです。

次回の出船予定は……

23日(日)佐渡ジギング(タイラバOK!)

※外海府に行きます。

満席です。

天気良さそうです!

24日(月)佐渡ジギング(タイラバOK!)

天気良さそうです!※海峡悪ければ違うポイントに変更します。

※外海府に行きます。

ガラ空きです!

29日(土)

佐渡ジギング(タイラバOK!)

※外海府に行きます。

ガラ空きです!

天気良さそうです!※海峡悪ければ近海に変更予定です。

他希望日あれば、連絡くださいm(_ _)m

※最低人数集まり次第出船します。

ご予約・お問い合わせお待ちしてます( •̀ω •́ゞ)

PAGE TOP