
本日の竿頭は10匹!型揃いでした(≧∀≦)

こちらのお客様も10匹( ⊙⊙)!!






11月30日 延長便
タイラバ
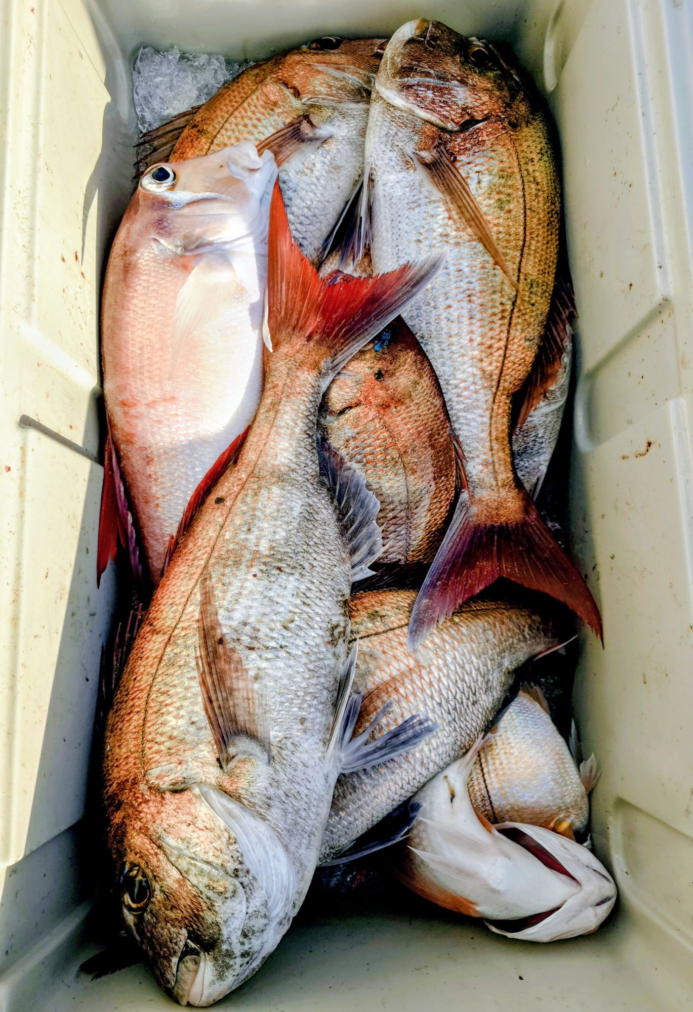
マダイ
サイズ 1.2~3.6キロ!
数 2~10匹!
※10匹2名!
船中 58匹!
※良型多数!!!大型混じり!
バラシ多数(>︿<。)
大型マダイのラインブレイク1回(>︿<。)
残念です(T T)(T T)(T T)
他アラ・アマダイ・キダイ(レンコダイ)・シイラ・マサバ多数・エソなど
コメント:今日は沖の風予報が悪くマダラ船は中止になり、急遽タイラバ船で出船しました。
※これからの時期は天候が不安定なので、急に釣り物が変わる場合があります。
随時予定表の、ご確認お願いしますm(_ _)m
朝から風が強いです……
本日もマダイメインで狙いました。
―――――――――――――――――――――
※12月~のタイラバはマダイメインで出船します。
アマダイを狙いたい、お客様はアマダイ釣りで、ご予約お願いしますm(_ _)m
―――――――――――――――――――――
開始1流し目からマダイの顔を見れ良い感じです(*^^*)
昨日と違い流れが非常に早く2knotのオーバーの激流です( ̄▽ ̄;)
今日はタイラバの上げ下げ多く、皆さん大変です(^ω^;);););)
前半は単発多くスロースタートでした。
中盤は中だるみでアタリ少なかったです。
後半はアタリが一気に増え久しぶりにゴールデンタイムに突入しました!
沖上がり時間まで、コンスタントにアタリが続き数伸びました(*^^*)
釣果に差が出てしまいましたが、全員マダイの顔を見れ良かったです(≧▽≦)
脂も乗り始め、美味しい季節になってきました。
マダイ狙い良いシーズンになって来ましたよ(≧∀≦)
ウエイトとカラーセレクトは、流れ方や水色で変わります。
一番大事なのはフックセッティッングとネクタイの長さです。
よく釣れなかったら変えますと言うお客様がたくさんいらっしゃいますが、時合いが過ぎてから変えても釣れないですよ……(>︿<。)
チャンスタイムは短いです!!!
残念な思いをしないようアタリが来ない方は、遠慮せずに船長にすぐ聞いてください!
アマダイ狙いとマダイ狙いはセッティングや釣り方が違います。
釣れない時はすぐに交換が得策です。
釣果UPに繋がります!!!
アタリ多く、引き味抜群のタイラバおすすめです!
次回出船予定は
12月2日(火)タイラバ出船予定です。
超ガラ空きです!
12月6日(土)タイラバ出船予定です。
超ガラ空きです!
もしかしたら
12月7日(日)タイラバになるかもです。
超ガラ空きです!
ご予約・お問い合わせお待ちしてます( •̀ω •́ゞ)
☆★☆★☆★☆★☆★☆★☆★☆★☆★☆★☆
お願いと注意です:タイラバ用のPEラインは糸が細いので通常の太いPEラインと違い劣化が早いです。
本日も、魚がヒットしてからのPEライン切れがありました。
去年のPEラインは傷んでいる場合が多々あります。
毎年新しいPEラインに巻変えてからタイラバチャレンジお願いしますm(_ _)m
★☆★☆★☆★☆★☆★☆★☆★☆★☆★☆★