
本日の竿頭は短時間で19匹!!!オマツリして水面バラしがなければジャスト20匹でした( ⊙⊙)!!
※顔出しNGとの事で顔はカットされてます。

2番手16匹!




12月18日 午後便
11時過ぎ出船
タイラバ
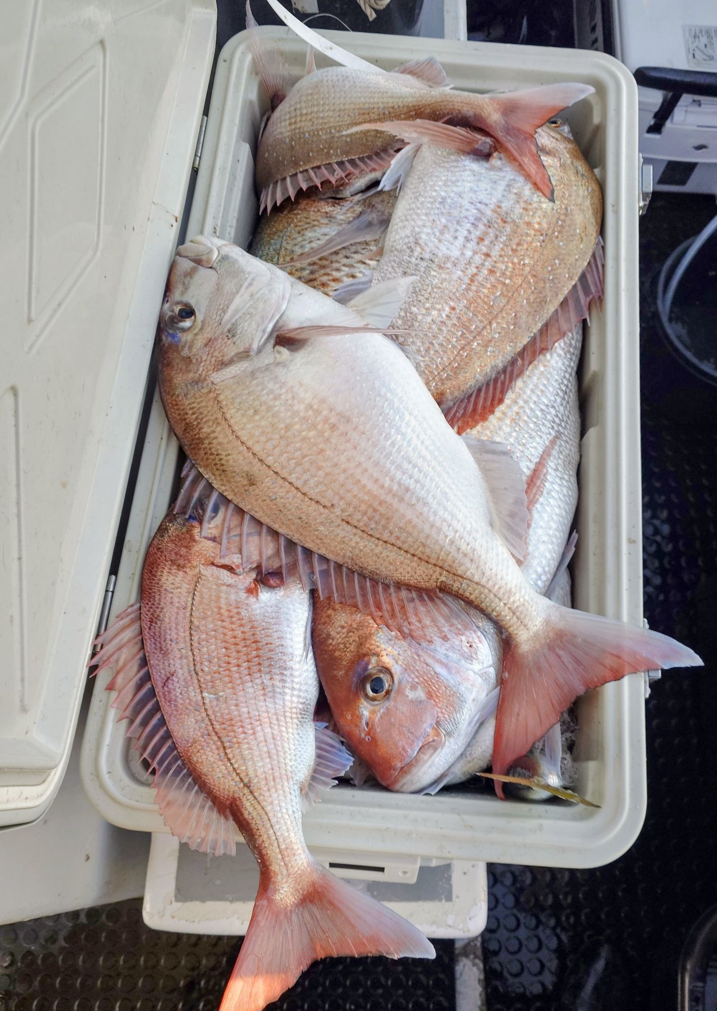
マダイ
サイズ 1.0~4.25キロ!
数 5~19匹!!!
2番手16匹!
6人船中59匹!
※2キロ前後の良型多数!!!大型混じり!
※マダイのバラシ&ラインブレイクあり(>︿<。)
水面バラシあり(>︿<。)
残念です(T_T)(T_T)(T_T)
他アラ・沖メバル(ウスメバル)・レンコダイ(キダイ)・マサバ・マフグ・ムシガレイ・エソなど
コメント:本日は延長便でしたが予報より海が悪く、風も強く午後便まで遅らせて出船しました。
11時過ぎに出船しましたが、予報より風も強く波が大きく壁のようなウネリが来ます( ̄▽ ̄;)
バッドコンディションです……
流れが非常に早く2knot以上の激流です……
ポイントに着き1投目からダブルヒット!!!
マダイの活性が高いのか4投連続ヒットの方も居て驚きです(((゜Д゜;)))
ここ最近で1番の喰いです(⊙⊙)!!
その後も、あちこちで竿が曲がりスーパーゴールデンタイムに突入しました!!!
4人同時ヒットのスペシャルタイムも……(≧▽≦)
パターンを掴んだ方は沖上がり時間まで釣れ続け19匹釣られた方も出現Σ(゚д゚;)
オマツリして水面バラしが無ければジャスト20匹でした( ‘ロ’)’ロ’)’ロ’)’ロ’)!!!
短い時間でしたが、マダイご機嫌で、お土産できて良かったです(≧▽≦)
マダイの脂も乗り始め、美味しい季節になってきました。
タイラバの良いシーズンになって来ましたよ(≧∀≦)
ウエイトとカラーセレクトは、流れ方や水色で変わります。
一番大事なのはフックセッティッングとネクタイの長さです。
よく釣れなかったら変えますと言うお客様がたくさんいらっしゃいますが、時合いが過ぎてから変えても釣れないですよ……(>︿<。)
チャンスタイムは短いです!!!
残念な思いをしないようアタリが来ない方は、遠慮せずに船長にすぐ聞いてください!
アマダイ狙いとマダイ狙いはセッティングや釣り方が違います。
釣れない時はすぐに交換が得策です。
釣果UPに繋がります!!!
アタリ多く、引き味抜群のタイラバおすすめです!
次回出船予定は
12月19日(金)佐渡ジギング出船予定です。
※タイラバOKです!
12月20日(土))佐渡ジギング出船予定です。
※タイラバOKです!
12月21日(日)佐渡ジギング出船予定です。
※タイラバOKです!
12月22日(月)タイラバ出船予定です。
超ガラ空きです!
もしかしたら
12月23日(火)タイラバ出船予定です。
超ガラ空きです!
ご予約・お問い合わせお待ちしてます( •̀ω •́ゞ)
☆★☆★☆★☆★☆★☆★☆★☆★☆★☆★☆
お願いと注意です:タイラバ用のPEラインは糸が細いので通常の太いPEラインと違い劣化が早いです。
本日も、魚がヒットしてからのPEライン切れがありました。
去年のPEラインは傷んでいる場合が多々あります。
毎年新しいPEラインに巻変えてからタイラバチャレンジお願いしますm(_ _)m
★☆★☆★☆★☆★☆★☆★☆★☆★☆★☆★