2025年 12月23日 タイラバ2

本日の竿頭は19匹!!!良型多数でした( ⊙⊙)!!
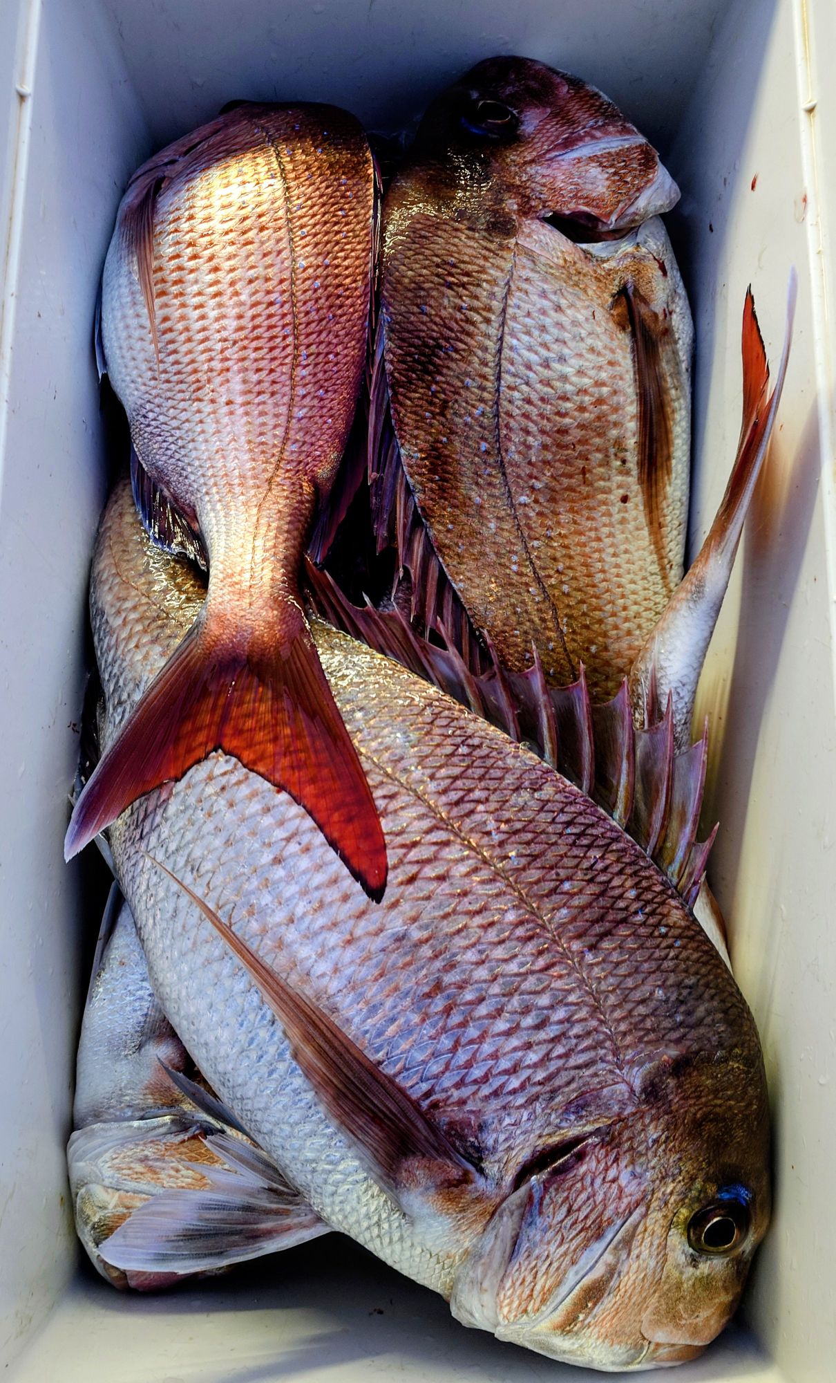
※顔出しNGとの事で顔はカットされてます。





12月23日 延長便
タイラバ
マダイ
サイズ 0.8~3.15キロ!
数 7~19匹!!!
5人船中50匹!
※良型多数!!!
※マダイのバラシ&ラインブレイクあり(>︿<。)
水面バラシあり(>︿<。)
残念です(T_T)(T_T)(T_T)
他アラ・アマダイ・レンコダイ(キダイ)・マサバ・マフグ・ムシガレイ・エソなど
コメント:本日は延長便のタイラバに出船です。
開始1流し目からマダイの顔を見れ嬉しい限りです(*^^*)
風もあり船も流れ良い感じです。
朝からアタリあるのですが、喰いが浅くバレてしまったり、コツンやカツカツでアタリが止まってしまうのも多いです……
12時前まではヒット少なかったですが、12時過ぎからあちこちで竿が曲がりゴールデンタイムに突入しました!!!
4人同時ヒットのスペシャルタイムも……(≧▽≦)
パターンを掴んだ方は沖上がり時間まで釣れ続け前回のタイラバ船に引き続き19匹釣られた方も出現Σ(゚д゚;)
今日は午後からマダイご機嫌で、皆さんお土産できて良かったです(≧▽≦)
マダイの脂も乗り美味しい季節になってきました。
タイラバの良いシーズンになって来ましたよ(≧∀≦)
ウエイトとカラーセレクトは、流れ方や水色で変わります。
一番大事なのはフックセッティッングとネクタイの長さです。
よく釣れなかったら変えますと言うお客様がたくさんいらっしゃいますが、時合いが過ぎてから変えても釣れないですよ……(>︿<。)
チャンスタイムは短いです!!!
残念な思いをしないようアタリが来ない方は、遠慮せずに船長にすぐ聞いてください!
アマダイ狙いとマダイ狙いはセッティングや釣り方が違います。
釣れない時はすぐに交換が得策です。
釣果UPに繋がります!!!
アタリ多く、引き味抜群のタイラバおすすめです!
次回のタイラバ出船予定は……
12月28日(日)近海1日便タイラバに出船予定です
※ジギングOKです!
出船出来そうです。
空きあります。
31日(水)近海1日便タイラバに出船予定です。
※ジギングOKです。
出船出来そうです。
空き多数です。
新年初釣りに!
2日(金)延長便 タイラバに出船予定です。
出船出来そうです。
ガラ空きです。
ご予約・お問い合わせお待ちしてます( •̀ω •́ゞ)
☆★☆★☆★☆★☆★☆★☆★☆★☆★☆★☆
お願いと注意です:タイラバ用のPEラインは糸が細いので通常の太いPEラインと違い劣化が早いです。
魚がヒットしてからのPEライン切れが多々あります。
去年のPEラインは傷んでいる場合が多々あります。
毎年新しいPEラインに巻変えてからタイラバチャレンジお願いしますm(_ _)m
★☆★☆★☆★☆★☆★☆★☆★☆★☆★☆★