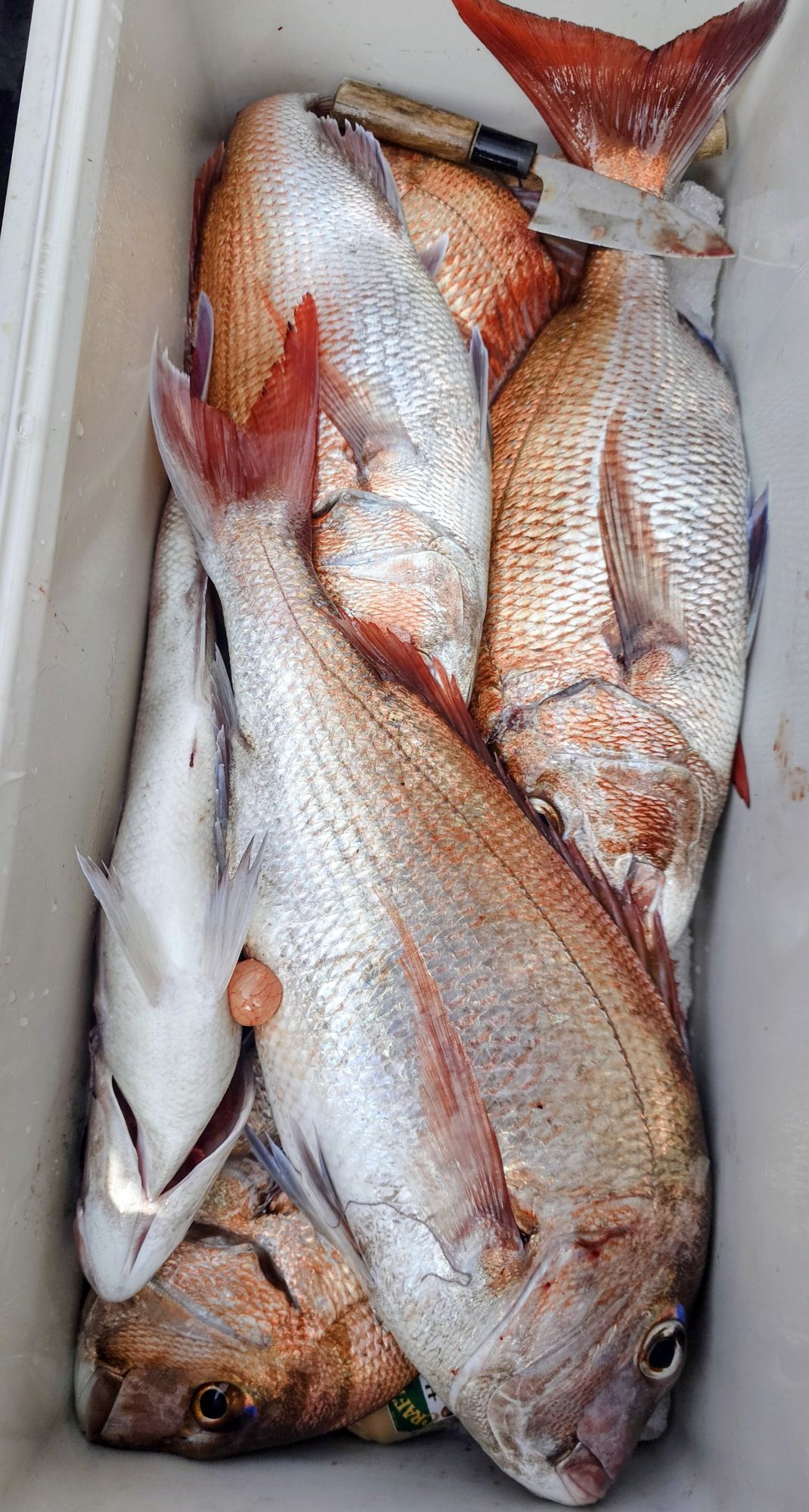
2026年 3月30日 タイラバ2

本日の竿頭は11匹!
レンタルタックルでタイラバ初挑戦のお客様でした(≧▽≦)
※竿頭のお客様はすべてレンタルタックルでの釣果です。
ロッド・リール・タイラバヘッド・ネクタイすべてです。
釣り方は船長がレクチャーするので初めてのお客様でも楽しめます(*^^*)
手ぶらでも楽しめます!

2番手10匹!

3番手9匹!



3月30日 1日便
タイラバ
マダイ
サイズ 1.2~3.1キロ!
数 5~11匹!
2番手10匹!
3番手9匹!
船中50匹!
※マダイのバラシ大連発(>︿<。)
残念です(T_T)(T_T)(T_T)
他アラ・キダイ(レンコダイ)・ウッカリカサゴ・ムシガレイなど
コメント:タイラバに出船です。
今日も波が無く穏やかです。
本日も遠いポイントまで遠征しました。
場所に着くと風も無く湖のような海です。
開始1流し目から、マダイのアタリが有り良い感じです(*^^*)
船が流れないですが……( ̄▽ ̄;)
2流し目はポツポツです。
3流し目から、いきなりゴールデンタイムに突入しました!!!
前回ヒットカラーのネクタイが今日も良い仕事をしてくれたのかダブル・トリプル・フォースの連続ヒット!!!
その後は喰いが浅いのか活性が高すぎるのか分かりませんが、連絡フックアウト……チ───(´-ω-`)───ン
アタリは頻繁に有りますが、バラシも大連発で逃げられてしまうマダイも多いです……ガ━━=͟͟͞͞(Ŏ◊Ŏ ‧̣̥̇)━━━ン!!!
釣れた数より、逃げられた数が多い方も……(T^T)(T^T)(T^T)
アタリが遠のいまので移動したら、その後アタリがパッタリ止まってしまい竿がピクリともしなくなってしまいました…(>︿<。)
長い中だるみです。
諦めかけていた後半、マダイのスイッチが再び入ったのか、良いポイントに入ったのか分かりませんが再び連続ヒット!
長続きしませんでしたがプチラッシュに入り楽しめました(*^^*)
今日は久しぶりに全員安打達成できました。初めての、お客様にも楽しんで貰えて良かったです(≧▽≦)
お手軽なロッドとリールとクーラーだけの手ブラ釣行もオススメですよ!!!
タイラバの良いシーズンになって来ました(≧∀≦)
ウエイトとカラーセレクトは、流れ方や水色で変わります。
一番大事なのはフックセッティッングとネクタイの長さです。
よく釣れなかったら変えますと言うお客様がたくさんいらっしゃいますが、時合いが過ぎてから変えても釣れないですよ……(>︿<。)
チャンスタイムは短いです!!!
残念な思いをしないようアタリが来ない方は、遠慮せずに船長にすぐ聞いてください!
釣れない時はすぐに交換が得策です。
釣果UPに繋がります!!!
アタリ多く、引き味抜群のタイラバおすすめです!
釣れる鯛ラバ・操作性抜群のロッド・巻きやすいリール各種揃ってます!
初めての方でも大丈夫です(≧▽≦)
手ブラでもOKです!!!
次回の出船予定は
4月2日(木)タイラバに出船予定です。
天気悪そうです。
超ガラ空きです。
4月3日(金)タイラバに出船予定です。
天気良さそうです。
超ガラ空きです。
4月4日(土)タイラバに出船予定です。
出船できそうです。
ガラ空きです。
4月5日(日)タイラバに出船予定です。
超ガラ空きです。
ジギング・タイラバOKです。
4月6日(月)タイラバに出船予定です。
超ガラ空きです。
ご予約・お問い合わせお待ちしてます( •̀ω •́ゞ)
☆★☆★☆★☆★☆★☆★☆★☆★☆★☆★☆
お願いと注意です:タイラバ用のPEラインは糸が細いので通常の太いPEラインと違い劣化が早いです。
魚がヒットしてからのPEライン切れが多々あります。
ささくれや、毛羽立ってきたらすぐに糸を巻変えてください。
また、去年のPEラインは傷んでいる場合が多々あります。
毎年新しいPEラインに巻変えてからタイラバチャレンジお願いしますm(_ _)m
★☆★☆★☆★☆★☆★☆★☆★☆★☆★☆★